Reject the request for re-zoning property at Phillips Road and Boiling Springs Road from R12 to FRD, Docket CZ-2014-09, Hearing scheduled 17 Feb 2014 at 6:00.


Reject the request for re-zoning property at Phillips Road and Boiling Springs Road from R12 to FRD, Docket CZ-2014-09, Hearing scheduled 17 Feb 2014 at 6:00.
The Issue
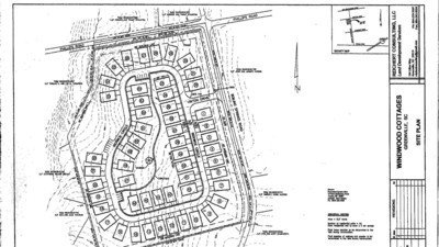
The zoning request is to allow replacing the 2 current homes on the 12.7 acre tract with 54 homes. This is not acceptable due to
1. Traffic on Boiling Springs road is already a major problem for current residents, with a high rate of accident history.
2. The site is at the intersection of Phillips Road, which is the only exit out of the Boiling Springs Estates development of 40 homes.
3. The proposal would replace 12.7 acres of pasture land with homes and pavement, aggrevating the already flood-prone situation in area creeks.
4. This high density ( <1/4 acre lots) is totally out of character of the rural setting of this area.
The Issue
The zoning request is to allow replacing the 2 current homes on the 12.7 acre tract with 54 homes. This is not acceptable due to
1. Traffic on Boiling Springs road is already a major problem for current residents, with a high rate of accident history.
2. The site is at the intersection of Phillips Road, which is the only exit out of the Boiling Springs Estates development of 40 homes.
3. The proposal would replace 12.7 acres of pasture land with homes and pavement, aggrevating the already flood-prone situation in area creeks.
4. This high density ( <1/4 acre lots) is totally out of character of the rural setting of this area.
Confirmed victory
Share this petition
The Decision Makers
Petition created on January 30, 2014