Stop Zone Change from A to PBC near Quail Brush Creek Subdivision


Stop Zone Change from A to PBC near Quail Brush Creek Subdivision
The Issue
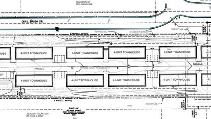
We are fighting this unnecessary rezoning request as this developer is attempting to put too much into a relatively small tract of land. This property, a 3.83-acre tract of land, is currently up for rezoning from Agriculture (A) to Planned Business Center (PBC). According to the development proposal from the Land Use Review Division (No.'s: Zone 23-0002 & COPN 23-0001), filed on 01/17/2023, the proposal is for Eleven (11) four-plex townhouse units on this site (44 families in less than a 4-acre plot of land). If the Planning Commission approves this rezoning request, the density for this development will be 11.48 families per acre. Compare that to the current single-family zoning of 7.26 families per acre (Ref. COS LDRS).
The developer states in their proposal that "The Action Will Not Be Detrimental to the Public Interest, Health, Safety, Convenience or Welfare." This statement is false and could not be further from the truth, as our interests as nearby residents are vital, and we disagree with this proposal, the safety concerns of our children with increasing traffic flow are important, as well as the loss of the family feel for the neighborhood.
Additionally, the convenience is not supported by the current infrastructure, and the welfare of our current and future citizens within this small area is in jeopardy by cramming more into such a limiting space since the streets in the area are narrow and cannot support traffic for more highly dense developments.
If successful, this proposed rezoning change would significantly increase the number of units/homes allowed on the property and change our low-density residential area to a high-density residential neighborhood. The change in commercial zoning would move from commercial retail catered to individual neighborhoods to commercial highway retail catered to passing motorists. This change will decrease property values and increase the existing traffic within this area. The fourplex dwellings are not only incompatible with the character of many of our residential areas but, in the long run, cannot make for comfortable living.
The zone change will significantly impact traffic. The two (2) large shopping centers and gas stations on the corner of Adventure Way and Black Forest Rd, the current development of the 37-unit single-family homes on the corner of Adventure Way and Quail Brush Creek Dr, the two main churches, and other facilities requiring ingress and egress are not adequate for the neighborhood to add on to the condensed space, given the infrastructure in place.
This is a grassroots effort by those in surrounding neighborhoods to fight this unnecessary rezoning request and thereby oppose the building of this large 4-plex complex. We demand the city turn down this rezoning request!
The Issue
We are fighting this unnecessary rezoning request as this developer is attempting to put too much into a relatively small tract of land. This property, a 3.83-acre tract of land, is currently up for rezoning from Agriculture (A) to Planned Business Center (PBC). According to the development proposal from the Land Use Review Division (No.'s: Zone 23-0002 & COPN 23-0001), filed on 01/17/2023, the proposal is for Eleven (11) four-plex townhouse units on this site (44 families in less than a 4-acre plot of land). If the Planning Commission approves this rezoning request, the density for this development will be 11.48 families per acre. Compare that to the current single-family zoning of 7.26 families per acre (Ref. COS LDRS).
The developer states in their proposal that "The Action Will Not Be Detrimental to the Public Interest, Health, Safety, Convenience or Welfare." This statement is false and could not be further from the truth, as our interests as nearby residents are vital, and we disagree with this proposal, the safety concerns of our children with increasing traffic flow are important, as well as the loss of the family feel for the neighborhood.
Additionally, the convenience is not supported by the current infrastructure, and the welfare of our current and future citizens within this small area is in jeopardy by cramming more into such a limiting space since the streets in the area are narrow and cannot support traffic for more highly dense developments.
If successful, this proposed rezoning change would significantly increase the number of units/homes allowed on the property and change our low-density residential area to a high-density residential neighborhood. The change in commercial zoning would move from commercial retail catered to individual neighborhoods to commercial highway retail catered to passing motorists. This change will decrease property values and increase the existing traffic within this area. The fourplex dwellings are not only incompatible with the character of many of our residential areas but, in the long run, cannot make for comfortable living.
The zone change will significantly impact traffic. The two (2) large shopping centers and gas stations on the corner of Adventure Way and Black Forest Rd, the current development of the 37-unit single-family homes on the corner of Adventure Way and Quail Brush Creek Dr, the two main churches, and other facilities requiring ingress and egress are not adequate for the neighborhood to add on to the condensed space, given the infrastructure in place.
This is a grassroots effort by those in surrounding neighborhoods to fight this unnecessary rezoning request and thereby oppose the building of this large 4-plex complex. We demand the city turn down this rezoning request!
Petition Closed
Share this petition
Petition created on February 4, 2023