Opposition to the Shelton Planning and Zoning applications 24-18 and 24-19


Opposition to the Shelton Planning and Zoning applications 24-18 and 24-19
The Issue
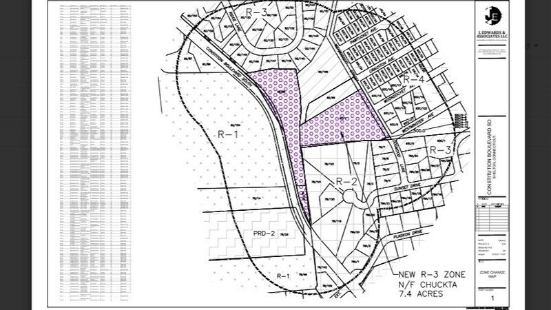
We, the undersigned being the owners of 20 percent or more of the area of the property within 500 feet in all directions of the property included in the proposed zone change, as well as concerned citizens of Shelton and nearby communities, hereby protest the zone change application filed by Dominick Thomas on behalf of David A Chuckta for 0 Constitution Blvd and 0 Weybossett St, Assessor Map 92 Parcel 85, Assessor Map 78, Parcel 123 and Assessor Map 93, parcel 1. As concerned property owners within 500 feet of the proposed zone change at 0 Constitution Blvd and 0 Weybossett St we are deeply troubled by application 24-19 submitted by Dominick Thomas on behalf of David A Chuckta. This application seeks to alter our community's zoning from R-1 and R-2 to a higher density classification, R-3.
This proposed change threatens the character of our neighborhood, potentially leading to overcrowding and straining local and natural resources. Our community is defined by its low-density nature which contributes significantly to our quality of life. The introduction of an R-3 zone could disrupt this balance.
We respect the rights of property owners, but believe that such drastic changes should be carefully considered with input from all affected parties. We represent more than 20% of the area within a 500 foot radius around the proposed zone change - a significant portion that cannot be ignored.
We urge you, Planning and Zoning Commission, not only as stakeholders but as fellow residents who care deeply about preserving out community's character, to reject this application for a zone change, as well as the application for a needless DRD in our community. Please consider our protest against this proposal seriously when making your decision.
188
The Issue
We, the undersigned being the owners of 20 percent or more of the area of the property within 500 feet in all directions of the property included in the proposed zone change, as well as concerned citizens of Shelton and nearby communities, hereby protest the zone change application filed by Dominick Thomas on behalf of David A Chuckta for 0 Constitution Blvd and 0 Weybossett St, Assessor Map 92 Parcel 85, Assessor Map 78, Parcel 123 and Assessor Map 93, parcel 1. As concerned property owners within 500 feet of the proposed zone change at 0 Constitution Blvd and 0 Weybossett St we are deeply troubled by application 24-19 submitted by Dominick Thomas on behalf of David A Chuckta. This application seeks to alter our community's zoning from R-1 and R-2 to a higher density classification, R-3.
This proposed change threatens the character of our neighborhood, potentially leading to overcrowding and straining local and natural resources. Our community is defined by its low-density nature which contributes significantly to our quality of life. The introduction of an R-3 zone could disrupt this balance.
We respect the rights of property owners, but believe that such drastic changes should be carefully considered with input from all affected parties. We represent more than 20% of the area within a 500 foot radius around the proposed zone change - a significant portion that cannot be ignored.
We urge you, Planning and Zoning Commission, not only as stakeholders but as fellow residents who care deeply about preserving out community's character, to reject this application for a zone change, as well as the application for a needless DRD in our community. Please consider our protest against this proposal seriously when making your decision.
188
Supporter Voices
Petition Updates
Share this petition
Petition created on July 24, 2024