Halt the Construction of a 7-11/ Truck Stop and Bar the boundary of Montclair Dr.


Halt the Construction of a 7-11/ Truck Stop and Bar the boundary of Montclair Dr.
The Issue
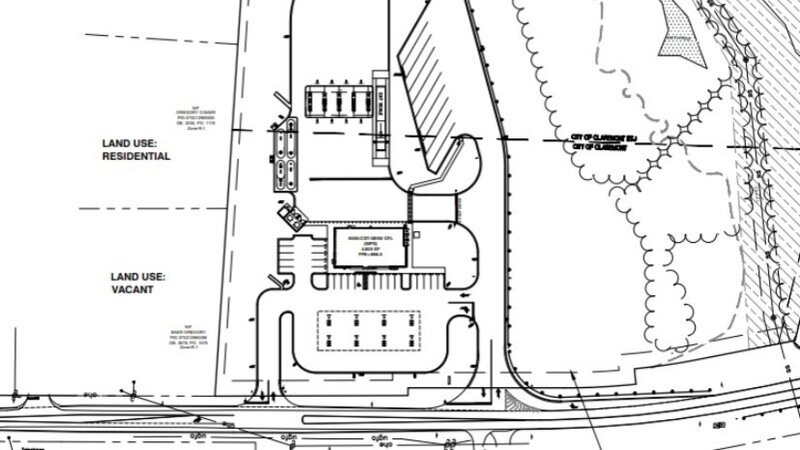
We are a community of 17 homeowners in Montclair Dr. who are facing the unthinkable. A 7-11 is planned to be constructed merely 10 feet from our properties. Not only will this disrupt the peace and quiet we once enjoyed, but it also poses serious health risks - it will release cancer-causing carcinogens, increasing the probability of leukemia in our children. The plan includes the installation of 4 diesel tanks and 5 diesel stations, which are notorious sources of both noise and air pollution. Also, light pollution will be an inevitable issue 24-7, 365 days of the year, further diminishing our ability to enjoy our property freely. They are planning a Margarita Bar serving alcohol. This is posing a horrible danger and possible deaths by people driving after they drink.
Research has indicated that children living within a quarter of a mile from a gas station had a four times greater risk of being diagnosed with leukemia than children who lived further away (Journal of Epidemiology). The World Health Organization classifies diesel exhaust as a Group 1 carcinogen, the same level as asbestos, tobacco, and radon. The presence of these diesel stations alone can significantly increase the risk of cancer in our community.
We urge the relevant authorities to consider the serious health, environmental, and social impacts that this construction will have on our lives. Our once peaceful lives are on the verge of disruption. Our health, and more importantly, our children's health, is seriously endangered. We demand the halt of this project for the betterment of our community. Don't ruin our lives; instead, join us in protecting our health and the quiet enjoyment of our properties. Please sign this petition to help us stop this construction!
40
The Issue
We are a community of 17 homeowners in Montclair Dr. who are facing the unthinkable. A 7-11 is planned to be constructed merely 10 feet from our properties. Not only will this disrupt the peace and quiet we once enjoyed, but it also poses serious health risks - it will release cancer-causing carcinogens, increasing the probability of leukemia in our children. The plan includes the installation of 4 diesel tanks and 5 diesel stations, which are notorious sources of both noise and air pollution. Also, light pollution will be an inevitable issue 24-7, 365 days of the year, further diminishing our ability to enjoy our property freely. They are planning a Margarita Bar serving alcohol. This is posing a horrible danger and possible deaths by people driving after they drink.
Research has indicated that children living within a quarter of a mile from a gas station had a four times greater risk of being diagnosed with leukemia than children who lived further away (Journal of Epidemiology). The World Health Organization classifies diesel exhaust as a Group 1 carcinogen, the same level as asbestos, tobacco, and radon. The presence of these diesel stations alone can significantly increase the risk of cancer in our community.
We urge the relevant authorities to consider the serious health, environmental, and social impacts that this construction will have on our lives. Our once peaceful lives are on the verge of disruption. Our health, and more importantly, our children's health, is seriously endangered. We demand the halt of this project for the betterment of our community. Don't ruin our lives; instead, join us in protecting our health and the quiet enjoyment of our properties. Please sign this petition to help us stop this construction!
40
The Decision Makers
Share this petition
Petition created on April 9, 2025