Urge MDCPS to Cancel Schools Amidst Major Hurricane Milton Threat


Urge MDCPS to Cancel Schools Amidst Major Hurricane Milton Threat
The Issue
Currently, school as been cancelled for 10/9. Tropical storm conditions will continue with torrential rainfall on 10/8, tomorrow, which is why we are requesting a cancellation of schools for both days.
I recall with unease the time MDCPS failed to cancel school during Hurricane Helene. In the ensuing chaos and danger, my friend was forced to navigate his to his bus around fallen power lines and intermittent power issues. It's staggering to think that we allowed our children to be exposed to such risks, and I am resolute in ensuring we don't repeat the past. As Major Hurricane Milton approaches, we at the precipice of a similar grave mistake.
Current National Hurricane Center reports classify the flood risk as Moderate. This means we're still willing to send our children into harm's way, into a scenario where the dangers of severe weather are very real. There's a slight risk attached to the severe weather's pattern currently, for Wednesday – it's unclear whether it's wind, hail, or an impending tornado. The risks, however vague, are not worth the gamble with our children's lives.
The more closer side to the hurricane, which is the northwestern side of Miami should take this warning to heart – if the decision to cancel school isn't made official, it falls to us to make the responsible choice. Prepare your families, design evacuation routes, and most importantly, keep your children safe. Demand MDCPS to acknowledge the severity of Major Hurricane Milton and to cancel schools.
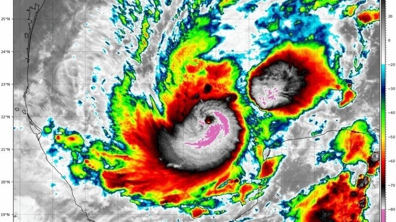
During the morning, Hurricane Milton "explosively" intensified into a Category 5 storm.
Visit these websites for info:
https://www.floridadisaster.org/
https://www.nhc.noaa.gov/graphics_at4.shtml?start#contents
Listen to the news! Evacuate if needed.

35
The Issue
Currently, school as been cancelled for 10/9. Tropical storm conditions will continue with torrential rainfall on 10/8, tomorrow, which is why we are requesting a cancellation of schools for both days.
I recall with unease the time MDCPS failed to cancel school during Hurricane Helene. In the ensuing chaos and danger, my friend was forced to navigate his to his bus around fallen power lines and intermittent power issues. It's staggering to think that we allowed our children to be exposed to such risks, and I am resolute in ensuring we don't repeat the past. As Major Hurricane Milton approaches, we at the precipice of a similar grave mistake.
Current National Hurricane Center reports classify the flood risk as Moderate. This means we're still willing to send our children into harm's way, into a scenario where the dangers of severe weather are very real. There's a slight risk attached to the severe weather's pattern currently, for Wednesday – it's unclear whether it's wind, hail, or an impending tornado. The risks, however vague, are not worth the gamble with our children's lives.
The more closer side to the hurricane, which is the northwestern side of Miami should take this warning to heart – if the decision to cancel school isn't made official, it falls to us to make the responsible choice. Prepare your families, design evacuation routes, and most importantly, keep your children safe. Demand MDCPS to acknowledge the severity of Major Hurricane Milton and to cancel schools.
During the morning, Hurricane Milton "explosively" intensified into a Category 5 storm.
Visit these websites for info:
https://www.floridadisaster.org/
https://www.nhc.noaa.gov/graphics_at4.shtml?start#contents
Listen to the news! Evacuate if needed.

35
The Decision Makers

Supporter Voices
Petition Updates
Share this petition
Petition created on October 7, 2024