U.S. Government: Provide Emergency Shelter & Power Access to Jamaicans Now


U.S. Government: Provide Emergency Shelter & Power Access to Jamaicans Now
The Issue
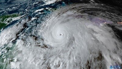
Hurricane Melissa has devastated Jamaica.
With power lines down, water cut off, and roads destroyed, more than half a million people are without electricity—many without shelter, clean water, or communications.
Entire communities in western and central Jamaica remain inaccessible, and over 15,000 Jamaicans are currently staying in emergency shelters. The storm has left homes flattened, hospitals damaged, and families stranded in unbearable heat with no way to cool off or connect to loved ones.
Jamaica has declared a national disaster. And while President Donald Trump has said the U.S. is “prepared to move,” no formal aid or resources have been deployed.
We are calling on the U.S. Agency for International Development (USAID), the State Department, and the White House to:
- Send immediate humanitarian assistance to Jamaica, including tents, blankets, generators, mobile cooling units, and fuel for hospitals and shelters
- Deploy disaster response teams to help restore power and clear roads to isolated communities
- Coordinate with Jamaican officials to identify the hardest-hit areas and deliver aid where it’s needed most
- Support long-term recovery by helping to rebuild homes, schools, and hospitals damaged by the storm
Jamaica is a long-standing ally. In this moment of crisis, the U.S. must not wait.
Sign this petition to urge the U.S. government to provide emergency shelter and power access to the people of Jamaica—before the suffering deepens.
Photo: Csu/cira & Noaa/via Reuters
144
The Issue
Hurricane Melissa has devastated Jamaica.
With power lines down, water cut off, and roads destroyed, more than half a million people are without electricity—many without shelter, clean water, or communications.
Entire communities in western and central Jamaica remain inaccessible, and over 15,000 Jamaicans are currently staying in emergency shelters. The storm has left homes flattened, hospitals damaged, and families stranded in unbearable heat with no way to cool off or connect to loved ones.
Jamaica has declared a national disaster. And while President Donald Trump has said the U.S. is “prepared to move,” no formal aid or resources have been deployed.
We are calling on the U.S. Agency for International Development (USAID), the State Department, and the White House to:
- Send immediate humanitarian assistance to Jamaica, including tents, blankets, generators, mobile cooling units, and fuel for hospitals and shelters
- Deploy disaster response teams to help restore power and clear roads to isolated communities
- Coordinate with Jamaican officials to identify the hardest-hit areas and deliver aid where it’s needed most
- Support long-term recovery by helping to rebuild homes, schools, and hospitals damaged by the storm
Jamaica is a long-standing ally. In this moment of crisis, the U.S. must not wait.
Sign this petition to urge the U.S. government to provide emergency shelter and power access to the people of Jamaica—before the suffering deepens.
Photo: Csu/cira & Noaa/via Reuters
144
The Decision Makers

Supporter Voices
Petition Updates
Share this petition
Petition created on 29 October 2025