
Tomorrow is the DEADLINE to submit your comments to the King County Permit office for the public notice posted in the Seattle Times and Kent reporter on June 2nd..
Please!
PLEASE Email Tracy.Cui@kingcounty.gov
Please ask all your friends, your family, and your coworkers to email her..
Your email could be as simple as:
Dear Tracy,
I am a King County resident and oppose the Kingfisher Energy Storage project, King County Project Number CDUP23-0003.
It is the wrong location for an industrial facility and does not meet any of the Conditional Use Permitting requirements.
I hope you will consider the overwhelming community opposition and deny Tenaska's permit for the CDUP23-0003
Thank you,
Then sign your name..
You can add to it by choosing a couple points below...
It is dangerous- potentially mass casualty deadly when there is a fire, it doesn't fit in to the existing rural residential and residential area, will drastically devalue all our homes, will be incredibly loud, will be an eyesore, and will totally impact our ability to feel safe, enjoy our homes and yards, and will create a constant fear of when a fire will happen...
Choose a couple points/topics from the list and include them:
Battery containers spontaneously combust- there is no way to prevent battery fires
Batteries fires can’t be extinguished- it takes many days if not weeks to die-down on their own
Battery fires release (off-gas) airborne chemicals cyanide, hydrogen fluoride gas/hydrofluoric acid, ammonia, chlorine, and hydrogen sulfide into the surrounding air, ground, and water- they will say they need to get back to us on any dangers- and even lie and say the one chemical (hydrogen fluoride gas/hydrofluoric acid) will get burned up in the fire
The chemicals/toxins released are heavier than air and will hover in a massive and quickly spreading cloud of a cocktail of deadly chemicals about 2ft-4ft off the ground and spread all around the surrounding areas (as seen in the only well documented BESS fire- in Surprise, AZ), and seeking low ground and engulfing Mattson Middle School and spreading into our yards and into homes
Because there is no known way to extinguish Lithium battery fires and firefighters know they don't have a way to extinguish these battery facilities fires- firefighter’s current action plan is to play defense and spray water on the surrounding battery containers to keep them cool with the hope to prevent them from spontaneously combusting while they wait for the battery container that is on fire to die down on its own- usually taking weeks of flames and smoke filled with cyanide, hydrogen fluoride gas/hydrofluoric acid, ammonia, chlorine, and hydrogen sulfide, and Cobalt spreading around to all the surrounding areas
Run-off from fire defense/control or dilution-water will be corrosive and/or toxic, and it will cause pollution and contamination of well water sources/aquifer/water table and all surrounding areas.
Shelter in place and/or evacuation orders are usually issued for everyone within half a mile (in the recent Moss Landing fire in CA, a shelter in place advisory was issued for all residents/businesses within 3 miles of the battery facility; and in the 2021 Morris industrial fire (used Li battery storage facility) required a 10 mile radius evacuation for 5 days (between June 29th and July 3rd); and in the Chandler, AZ fire, they evacuated people almost a mile away.
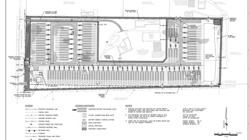
The battery facility will be 100ft from Mattson Middle School
Mattson’s HVAC system can not filter out cyanide or any of these other deadly gasses that are released when there is a fire at this industrial facility, the seals on the doors and windows are not good enough to keep the toxic clouds of deadly gasses out and sheltering in place would essentially be trapping kids within a death cloud that will only kill them slowly, or ruin theirs and their family's lives with health problems for the rest of their lives if anyone survived
The industrial battery facility will be in a rural residential (RA5) zoned plot sharing its property line with several RA5 (5 acres+) homes and have two large neighborhoods in residential zoned (R6) areas to the South, Southwest, and Southeast with no industrial zoning nearby
The facility will be "industrial" and not "fit" into the beauty and peacefulness of the rural and low density residential area and is not compatible with the physical characteristics of the subject property; it will go from being a beautiful 14.1 acres of rolling fields and a 6 acre forest to being 14.1 acres of gravel covered land with concrete slabs and hundreds of various industrial and ugly looking large electrical grid/utility machines
This Conditional Use Permit and Proposed Land Use is not consistent with the existing and surrounding quiet, peaceful, rural residential neighborhoods, and RA5 zoned homes and would cause undue harm to natural environments and should not be allowed to progress.
This massive deadly and loud industrial facility being placed next to Mattson Middle School and next to neighborhoods and rural homes, with ugly industrial look and feel, with massive industrial walls and prison yard like chain-link fences topped with barbed-wire, and every inch inside and all around covered by security cameras and security lights- looking like a prison, will hinder the enjoyment of the rural area and neighborhoods and it will discourage enjoyment and use of neighboring properties;
The conditional use will conflict with the health and safety of the community through the excessively loud (100db+) systems running 24/7 and the potentially deadly gasses/toxins released when there is a fire
The conditional use will demand excessive support from fire and emergency services (In last year's Tesla Mega pack fire in Australia, it took over 150 firefighters and 30 firetrucks and 4 days to try to prevent the spread- which they failed to do- and watch and wait until the battery extinguish itself) and will adversely affect public services to the surrounding area
Property values will be destroyed and plummet 50% or more for every home that can see and hear this facility- the property value of the 5 acre+ RA5 zoned homes sharing their property line with this industrial facility will crash even more severely as anyone wanting a home on 5 acres+ will NOT want to buy a 5+ acre home next to a loud and deadly industrial facility- overhead power lines are proven to reduce property values by close to 50% and this facility is extremely LOUD and extremely deadly and uglier than overhead power lines…
Battery storage facilities are loud- producing an average of 93db-106db of sound 24/7/365 days a year.
The substation alone will produce 100db 24/7/365
The inverter will produce 92db 24/7/365
There will be 100s of battery containers making 93db-106db of noise 24/7 each across the 14.1 acres (93db louder than a train’s whistle 500ft away-which is only 90db- we can hear the train going through Covington at night, the train is 10,000+ft away and we can still hear it) and we estimate this facility will have 100s of containers spread across the 14.1 acres. This noise would be "next-door" to Mattson Middle School, rural homes, and two large neighborhoods and could potentially be generating the 93db-106db noises 24/7
Battery storage facilities require a transformer which is even louder than the quieter batteries containers at 100db- equivalent to a jackhammer 25ft away. 102db, (which is less than 106db this facility could produce 24/7) is equivalent to you using a jackhammer… This facility could potentially be generating these loud of noises 24/7 365 days a year as well
The sounds won’t just be a deep humm- the sounds produced 24/7 have been measured at extreme levels at 31.5db (deep hum), 63db, 125db, 250db, 500db, 1k db, 2k db, 4k db, and up to 8k db (super high pitched whine)- all of which can make you lose you hearing
The constant noise will drive people to lose their hearing- not to mention driving them mad and destroy the peace and quiet and everyone’s ability to enjoy being outside and will drive all birds and wildlife far away
How often are they going to be charging/discharging the batteries- the more often they sell power, the more money they make- so as often as they can 24/7- meaning the whole facility will be running at close to 100% max speed all the time.
During the permitting process, they will tell us they will throttle down the cooling systems to meet noise/sound requirements- but the batteries must be kept at 70 degrees (or cooler) to reduce the chance of spontaneously combusting. Those systems will be running at full tilt all the time because the constant charging and discharging is a high heat producing process..
They say they will build an 8ft-10ft concrete noise barrier and shrapnel barrier that is 12 inches thick to block the noise and shrapnel- That won’t prevent all the loud noises and shrapnel from going straight into all the 2-3 story homes nearby
The proposed location is sloped and goes from 520ft of elevation in the highest areas down to 480ft in elevation in the lowest areas- a 10ft wall built in the 480ft elevation won’t block sound or shrapnel coming from battery containers at 490ft elevation
The closest large neighborhood (Emerald Downs) is less than 100ft away with mostly 2 story homes- the 10ft sound barrier would allow sound to go directly into the second floor of homes unmitigated
Second closest neighborhood (Tamarak Ridge) is 400ft away where all homes are 2 stories (Tamarak Ridge’s wetland is 329ft away), and a 10ft wall wouldn’t block and sounds nor shrapnel from a direct hit to the second floor of homes
Three homes share property lines with this battery facility (with bedrooms less than 50ft away)- all of those houses are 2 stories tall- a 10ft wall would do nothing to mitigate the sound or shrapnel from directly going into the second floor
The historic farm house between Mattson and this facility is 150ft away has 2nd floor and 3rd floor bedrooms (30ft+ high)- and the 10ft sound barrier won’t prevent direct noise nor shrapnel from entering their home
Tenaska will say that their facility won’t impact the flow of water, yet increased flash floods and brown water runoff from 14.1 acres of denuded land, plus herbicides (Roundup?) used on site to control vegetation growth, will pollute neighbors’ properties
The amount of defensive water used to attempt to keep surrounding battery packs from overheating at a battery energy storage system fire 24/7 for the course of many days to weeks will be in the hundreds of thousands of gallons- if not millions of gallons that will all flow away from the facility
It took 11 days and 6 million gallons of water to prevent the Chandler fire from spreading
One of the three adjacent RA5 homes is on a well and a fire and the defense/control water would poison their well and the aquifer/water table with the hundreds of thousand to millions of gallons of contaminated runoff water
In one of Tenaska’s designs, they have an Emergency Overflow Spillway designed to go onto that property owner’s land- which would poison the well, aquifer, and the water table
In that same place as the Emergency Overflow Spillway, on the East side of the proposed facility's property, there is a Freshwater Emergent Wetland that is shared with an adjacent property- along with 9 other wetlands on the proposed property- but they will just pay some fees to the WA State Department of Ecology and by-pass the wetland issues- fire defense/control water run-off would poison it
200ft West of the property there is a Freshwater Emergent Wetland- fire defense/control water run-off would poison it
Tamarak Ridge’s Wetland is 329ft away to the Southwest (across the street)- fire defense water run-off would poison it
The water table is very high, many homes in Emerald Downs neighborhood have water pumps pumping water into storm drains every time it rains - fire defense water run-off would poison all the surrounding land, storm drains, streams, rivers, and beyond
Many homes within a 1 mile radius directly to the East, North, and West are on wells-- fire defense water run-off could poison the water table
A storm drain leading to Salmon Streams are on the West property line of the proposed facility
Drainage ditch leading to Salmon Streams are within 20ft of the East property line
Mattson Middle School’s new fields with new drainage systems may all drain to Salmon Streams
Bald eagles may have a nest on the facility's property- if not a nest, they are regularly seen landing on the 100+ year old trees on the facility's property that will be cleared
The 14.1 acres serve as a wildlife habitat and corridor (a black bear, two bobcats, coyotes, elk, deer, river otters, raccoons, bunnies, possums, squirrels, and many other critters have been seen on the proposed facility's property). As evidence, a deer crossing sign is on the Southwest corner of the proposed property on 164th Ave SE (next to a salmon stream storm drain).
The destruction of a 6 acres of 100+ year old forest will drive wildlife away and make a major impact on the serenity, peacefulness, and calming sounds of nature neighbors are used to hearing/sensing
They will say they will use nighttime compliant lights- but their motion sensing security lights will impact nighttime sky and stargazing- Night glare from bright security lights interfering with valuable dark night skies.
They will have a ton of security measures, including cameras aimed outwards directly at and into people’s homes and onto Mattson Middle School’s campus
There are no known fire prevention technologies that work 100% in preventing battery facility fires- the codes don’t prevent the fires and they don’t stop them
No one knows how to prevent nor stop Lithium battery fires- and all the fire safety codes, regulations, rules are just best guesses and do nothing other than to set a minimum standard.
All the Battery Energy Storage System (BESS) fires, and ebike, e-scooter, cell phone, laptop, and all other Lithium battery fires were all in devices that were “up to code”- being up to code when the codes still don’t prevent fires nor stop them once they have started isn’t enough.
They will tell us everything is up to code- but that won’t prevent or stop Lithium battery fires
They will tell us they are using the safest Lithium battery chemistry- LFP, which has exploded in several recent fires (Germany, Neuhardenberg July 2021; Australia, Brisbane March 2020;US, IL, LaSalle July 2021; US, PA, Millvale January 2023) and killed people (China, Beijing April 2021) Even though they haven’t decided on which battery brand to go with yet- and all brands have had fires as no Lithium battery is safe- they are dangerous and release deadly toxins/chemicals when they spontaneously combust
They will tell us someone will train our Local Fire Department and there will be a QR code on the gate so firemen can read up on how to watch the fire and how to try to contain the fire so it doesn’t spread. In the recent Australian fire, it took over 150 firefighters and 30 firetrucks and 4 days of spraying water on nearby Tesla Megapacks to try to prevent the fire from spreading to them while they waited for the battery fire to extinguish itself- so they would have to train all the surrounding fire departments as well..
“Lithium- ion fires release an array of deadly toxins including Carbon Monoxide, Hydrogen Cyanide, Hydrogen Fluoride and Cobalt. These toxins are especially dangerous to firefighters because they are dermally absorbed through the skin and no personal
protective clothing can protect you against it.” Greg McConville, UFUA National Secretary
Hydrogen Cyanide (HCN) is a colorless, flammable, and poisonous chemical compound that is released by Battery Storage facilities during a fire. HCN interferes with the body’s use of oxygen and may cause harm to the brain, heart, blood vessels, and lungs; exposure can be fatal within 3 minutes of exposure
Ammonia (NH3), NH3 is hydroscopic, or water-seeking. When combined with moisture it forms a corrosive substance. Ammonia gas is very irritating to the eyes, nose and respiratory system, and in high concentrations is also corrosive to the skin and eyes. Breathing ammonia gas can be fatal.
Chlorine (Cl2), Chlorine (Cl2) gas is a very toxic chemical element that can cause eye irritation, coughing, vomiting and other symptoms. It is easily distinguishable by its greenish-yellow color and a bleach-like odor. Chlorine was even weaponized during World War I and is estimated to have caused at at least 1100 deaths in its first usage
Hydrogen sulfide (H2S), Hydrogen Sulfide (H2S) is a flammable and highly toxic substance that can be dangerous in both acute and chronic forms. One exposure to high levels of H2S can cause immediate death, while health problems might not show up until three days after the exposure. It is a chalcogen-hydride gas, and is poisonous, corrosive, and flammable, with trace amounts in ambient atmosphere having a characteristic foul odor of rotten eggs
When there is a fire, the gasses and smoke released could be carried less than a mile north and poison Lake Youngs and thus, poisoning Seattle’s main water supply and killing and harming millions of Seattle water drinkers…
Stranded energy- after the fire, batteries still retain energy and there is a likely-hood the batteries will reignite on their own multiple times up to 2 weeks after the fire.
Many Battery storage facilities aren’t engineered to withstand the level of the Puget Sounds’ earthquakes. The earthquake’s vibration, shock, shaking, and impact could induce faults such as disturbances to the internal construction of the cells, breakage of cell tab or intercell connections, contacts between the cathode and anode due to a distortion or tear of the separator, and the creation of other defects that can lead to an internal short circuit or high temperatures, both of which can lead to a catastrophic thermal runaway. Of course, any of these internal issues could also occur during the device’s transportation and installation in its final location.
There are a million things that can go wrong and result in batteries spontaneously combusting- defective batteries, poor design, defective ancillary systems, too much wear and tear, failed components- one Tesla Megapack fire at Moss Landing was because a fan bearing failed and the fan couldn’t spin fast enough to keep the temps down and in another Tesla Megapack fire a coolant line was leaking and the batteries overheated. In the most documented fire, the facility operator said it was a defective battery (Surprise, AZ fire, APS blamed LG battery defect and LG said it was an external cause). And in South Korea, "After a five-month investigation into fires at 23 energy storage installations in South Korea, an expert panel has blamed poor-quality installations, faulty operating procedures, missing protections against electrical shocks and lack of overall control systems for the fires".
The question is not “if” a runaway event will occur but “when”. Daniel J. Gorham, Fire Protection Research Foundation Quincy, Massachusetts, USA
These fires can be explosive and their proposed 10ft wall will not prevent shrapnel from going into the second floor bedrooms.
This industrial facility will be ugly with chain link fences and barbed wire
Murals on the walls will only invite graffiti
It will be not be manned and any attack or vandalism will have to go through the remote monitored process
Electrical grids are being targeted more and more frequently by thieves, vandals, and terrorists who have shot at electrical facilities- this would be a target and could have catastrophic consequences
They say it will create local jobs, but that is only during the construction- as this facility will be unmanned- and even with that, they will bring in their own crews and only hire a about 100 local union members from different trades for very short periods of time- all of whom will most likely have ZERO experience in building a dangerous facility like this where even the smallest thing can lead to catastrophic issues in the future…
Another study concluded that homes within .67 a mile of an industrial facility decrease in value due to proximity to that industrial facility- the decrease in home value exponentially gets larger the closer the home is to the site… This industrial site being put in the middle of a RA5 and RA6 zoned area will devastate everyone’s home values
They will say the substation, transformers and the massive levels of electrical current from charging and discharging the batteries won’t be seen, heard, or felt and that all studies show EMF is not an issue- even though both the 1979 study and 2002 California Health Department report on EMFs proved otherwise. The CA report, a 7-year, $9 million study,concluded that EMFs can cause some degree of increased risk of childhood leukemia, adult brain cancer, Lou Gehrig’s Disease, and miscarriage. The evaluation further concludes that magnetic fields may cause suicide and adult leukemia.
They will say that by destroying over 14 acres of forest, trees, shrubs, plants, and grasses and replacing them with gravel and concrete slabs and maintenance roads they won’t mess up water flow-when our high water table already requires neighbors to have water pumps to pump water from their backyards. Mattson had to spend millions to install drainage systems in all their play fields due to existing water issues- this facility will exponentially increase those issues
Any question that may have an answer that is negative, they will defer and say they will need to get back to us on that.
Our grid is stable and we rarely experience extended outages- and when we do, it is because a powerline is down- this facility won’t help with that.
They will tell us it is to benefit our community- but they are a private for profit company that is building this solely to make profit. They will sell the power to the highest bidder (usually California) as often as they can- maybe two to three times a day.
They won’t let this battery facility sit idle waiting for us to have peak demand scenarios or power outages- they will be constantly selling the power they bought from PSE for pennies to the highest bidder that is most desperate for energy and pay the most
By buying power cheaply from PSE (charging their batteries with cheap electricity) and selling the stored power to the highest bidder (discharging the batteries and sending the electricity to the highest bidder) as fast as they can- they will make the most money possible- and by quickly charging and discharging the system- they will be putting the maximum stress on all components and making the facility extremely loud and increasing the likelihood of a catastrophic event…
We don’t need the power- PSE’s studies have shown that by 2030 we will need 1,000 megawatts of stored power- this facility (which can be operational in 8-12 months from getting approval) will supply 20% of the TOTAL projected need in 2030… There is no need to place this facility at this location where there are so many risks and so many other issues.
We don’t want to be the case study used for future citing regulations because we allowed this deadly industrial facility to be placed next to Mattson Middle School and 100s of homes and it ended with a mass casualty event killing all 700+ staff and students and Mattson Middle school and killing hundreds of neighbors…
Until they can quickly and safely extinguish battery fires just like putting out a regular fire, there should be a moratorium on these battery storage facilities.
Better yet, until they have a fast and safe extinguishing method and can prevent batteries from overheating/thermal runaway, there should be a moratorium.
It is too risky to allow Tenaska to build this industrial facility next to Mattson Middle school and hundreds of homes.