Demand Land Use Rights and Compensation from PG&E for Easement Restrictions


Demand Land Use Rights and Compensation from PG&E for Easement Restrictions
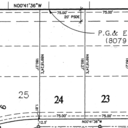
The Issue
3 years ago, my wife and I purchased our dream home in Pittsburg, CA. We envisioned a life of tranquility, health, and recreation on our land. However, this dream has been marred by an ongoing battle with Pacific Gas & Electric Company (PG&E) over an easement that significantly restricts our use of the property. We have spent thousands of dollars on land engineers and plan architects to please PG&E, and they say "no" without a suggestion or option; meanwhile, we pay for landscaping and care of the land (Because its ours and we own it). They sent an Impact letter to our builds saying it's in breach of an easement, and we can not build or change anything on our land.
The restrictions imposed by PG&E limit our access to the land we rightfully own. This has not only affected our overall well-being but also diminished the value of our property. We feel constrained in utilizing the land for activities that contribute to physical and mental health - a notable inconvenience that should not be overlooked.
We are not alone in this struggle; many homeowners across California face similar restrictions due to utility easements on their properties. According to a report from the Public Policy Institute of California (PPIC), utility easements can significantly impact property values and owners' rights.
Therefore, we are calling upon PG&E to either allow us full use of our land or compensate us monthly for these restrictions they have imposed on a property they do not own. It is time for homeowners' rights to be respected and compensated fairly when those rights are infringed upon.
Please join us in demanding justice from PG&E – sign this petition today!

230
The Issue
3 years ago, my wife and I purchased our dream home in Pittsburg, CA. We envisioned a life of tranquility, health, and recreation on our land. However, this dream has been marred by an ongoing battle with Pacific Gas & Electric Company (PG&E) over an easement that significantly restricts our use of the property. We have spent thousands of dollars on land engineers and plan architects to please PG&E, and they say "no" without a suggestion or option; meanwhile, we pay for landscaping and care of the land (Because its ours and we own it). They sent an Impact letter to our builds saying it's in breach of an easement, and we can not build or change anything on our land.
The restrictions imposed by PG&E limit our access to the land we rightfully own. This has not only affected our overall well-being but also diminished the value of our property. We feel constrained in utilizing the land for activities that contribute to physical and mental health - a notable inconvenience that should not be overlooked.
We are not alone in this struggle; many homeowners across California face similar restrictions due to utility easements on their properties. According to a report from the Public Policy Institute of California (PPIC), utility easements can significantly impact property values and owners' rights.
Therefore, we are calling upon PG&E to either allow us full use of our land or compensate us monthly for these restrictions they have imposed on a property they do not own. It is time for homeowners' rights to be respected and compensated fairly when those rights are infringed upon.
Please join us in demanding justice from PG&E – sign this petition today!

230
The Decision Makers
Petition Updates
Share this petition
Petition created on December 28, 2023