Approve rezoning for the revitalization of Johnson Ferry / Shallowford Rd


Approve rezoning for the revitalization of Johnson Ferry / Shallowford Rd
The Issue
PSA: Please *DO NOT* donate when change[dot]org asks you to donate after signing this petition. They are a private corporation and NONE OF THE FUNDS raised from this petition go towards any organizations or people who put the petition together.
Petition for Cobb County Officials to approve rezoning for the revitalization of Johnson Ferry / Shallowford Rd for Church, Retail Space, and Townhomes development.
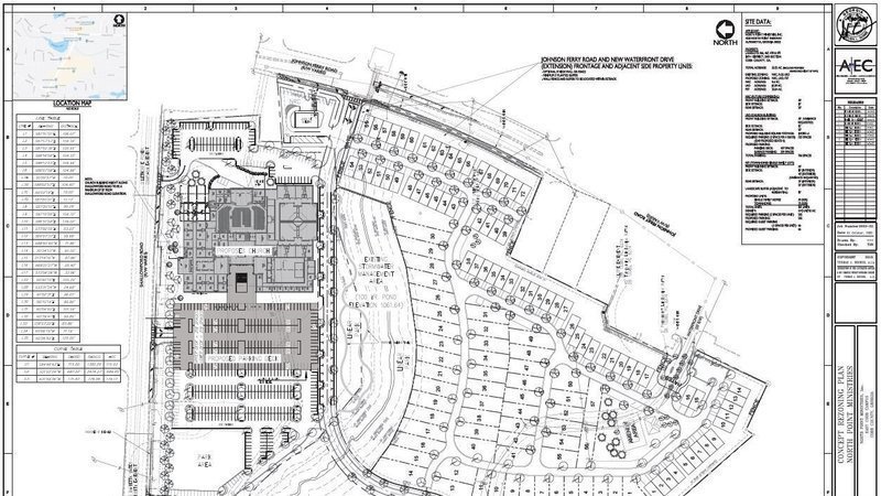
We are petitioning the Cobb Planning and County Commissioners to approve the revitalization zoning plan Z-72-2020 scheduled for a hearing on May 4th, 2021. The new zoning and development will improve the dilapidated homes and property that have existed for over a decade on Johnson Ferry Rd and Shallowford Rd. The new development will bring a community-centric church, small retail shops, green space, road improvements, and high-end townhomes into the area.
- The proposal provides Townhouses and Single Family Homes to be priced between $400,000-$600,000 increasing the current average home values of $347,440
- Small retail stores along Johnson Ferry Rd will improve the existing run-down property by enhancing the aesthetics of the area through streetscapes and architecture.
- Townhomes and retail shops will bring in additional tax revenue for Cobb County.
- Stormwater management improvements
- Roads improvement will create better traffic flow in the area
- The proposal provides for greenspace with walking trails.
- All-inclusive church with a focus on community maintaining an inviting place for families to live, work, and worship.
Contact District 2 Commissioner directly and let her know you support the development project.
Jerica Richardson,
(770) 528-3316
jerica.richardson@cobbcounty.org
The Issue
PSA: Please *DO NOT* donate when change[dot]org asks you to donate after signing this petition. They are a private corporation and NONE OF THE FUNDS raised from this petition go towards any organizations or people who put the petition together.
Petition for Cobb County Officials to approve rezoning for the revitalization of Johnson Ferry / Shallowford Rd for Church, Retail Space, and Townhomes development.
We are petitioning the Cobb Planning and County Commissioners to approve the revitalization zoning plan Z-72-2020 scheduled for a hearing on May 4th, 2021. The new zoning and development will improve the dilapidated homes and property that have existed for over a decade on Johnson Ferry Rd and Shallowford Rd. The new development will bring a community-centric church, small retail shops, green space, road improvements, and high-end townhomes into the area.
- The proposal provides Townhouses and Single Family Homes to be priced between $400,000-$600,000 increasing the current average home values of $347,440
- Small retail stores along Johnson Ferry Rd will improve the existing run-down property by enhancing the aesthetics of the area through streetscapes and architecture.
- Townhomes and retail shops will bring in additional tax revenue for Cobb County.
- Stormwater management improvements
- Roads improvement will create better traffic flow in the area
- The proposal provides for greenspace with walking trails.
- All-inclusive church with a focus on community maintaining an inviting place for families to live, work, and worship.
Contact District 2 Commissioner directly and let her know you support the development project.
Jerica Richardson,
(770) 528-3316
jerica.richardson@cobbcounty.org
Petition Closed
Share this petition
The Decision Makers
Petition Updates
Share this petition
Petition created on January 12, 2021