Discontinue development on this ecologically and socially sensitive area

The Issue

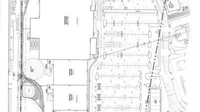
The land that is up for development is a highly sensitive area featuring a large population of wildlife including many birds, reptiles and amphibians. The property this is in refernce to is on the North side of Route 202, west of Palisades Parkway Entrance South. This area is a wetland and should be protected. It seems that it may have been declared not to be a wetland, but the site contains many plants which only live in wetland ecosystems. That being said, there has been a lot of land disturbance on the property and the earth has been moved quite a bit. Beisdes the ecological influences, development of this land into a Walmart with possible housing, would wipe out local businesses which in the long run will hurt the local economy and not help the already sky high taxes in the Town of Ramapo. There will be a lot of congestion on the state road in front of the new mall as well. All of this will forever change the lifestyle, health, and well being of many residents and business owners. It must be stopped!

avatar of the starter
Andy SahnPetition Starter
This petition had 293 supporters

The Issue

The land that is up for development is a highly sensitive area featuring a large population of wildlife including many birds, reptiles and amphibians. The property this is in refernce to is on the North side of Route 202, west of Palisades Parkway Entrance South. This area is a wetland and should be protected. It seems that it may have been declared not to be a wetland, but the site contains many plants which only live in wetland ecosystems. That being said, there has been a lot of land disturbance on the property and the earth has been moved quite a bit. Beisdes the ecological influences, development of this land into a Walmart with possible housing, would wipe out local businesses which in the long run will hurt the local economy and not help the already sky high taxes in the Town of Ramapo. There will be a lot of congestion on the state road in front of the new mall as well. All of this will forever change the lifestyle, health, and well being of many residents and business owners. It must be stopped!

avatar of the starter
Andy SahnPetition Starter

The Decision Makers

Walmart and the Development of a Wetland on Route 202 in Pomona, NY
Walmart and the Development of a Wetland on Route 202 in Pomona, NY

Petition Updates