Oppose South Orange Development: Orange Lawn Tennis Club (Ordinance #2016-08)


Oppose South Orange Development: Orange Lawn Tennis Club (Ordinance #2016-08)
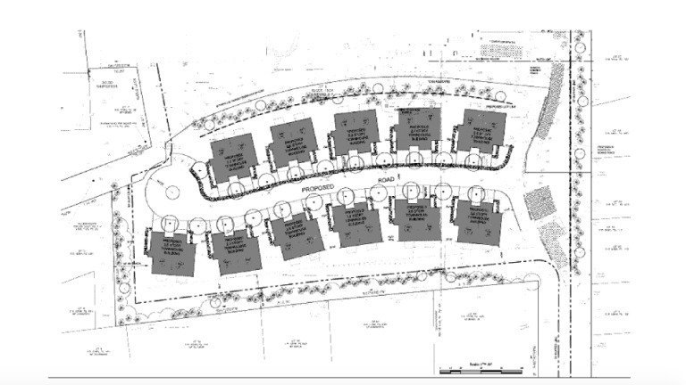
The Issue
We South Orange residents, taxpayers and OLTC neighbors strongly oppose the ordinance that allows the 22 unit OLTC development plan because its density is inconsistent with the immediate surrounding properties. The proposed development would permit too many structures packed tightly together in a five-acre parcel.
Furthermore, the ordinance and the associated redevelopment plan will also permit the further development of the remainder of the OLTC property with similar townhouse structures and density in the future.
We urge the Planning Board to reject this proposal at its next meeting.
We urge the Board of Trustees to discontinue assisting in the development of this site in a manner which ignores the concerns of residents and taxpayers. We urge the Board of Trustees to withdraw the proposed ordinance.
For more information, please email OLTCNeighbors@gmail.com
Neighbors of Orange Lawn Tennis ClubPetition Starter
This petition had 255 supporters
The Issue
We South Orange residents, taxpayers and OLTC neighbors strongly oppose the ordinance that allows the 22 unit OLTC development plan because its density is inconsistent with the immediate surrounding properties. The proposed development would permit too many structures packed tightly together in a five-acre parcel.
Furthermore, the ordinance and the associated redevelopment plan will also permit the further development of the remainder of the OLTC property with similar townhouse structures and density in the future.
We urge the Planning Board to reject this proposal at its next meeting.
We urge the Board of Trustees to discontinue assisting in the development of this site in a manner which ignores the concerns of residents and taxpayers. We urge the Board of Trustees to withdraw the proposed ordinance.
For more information, please email OLTCNeighbors@gmail.com
Neighbors of Orange Lawn Tennis ClubPetition Starter
Petition Closed
Share this petition
The Decision Makers
South Orange Board of Trustees & Planning Board
Petition Updates
Share this petition
Petition created on March 2, 2016