

Keep Gibbons Drive Open – Say No to Unsafe Traffic Changes


Keep Gibbons Drive Open – Say No to Unsafe Traffic Changes
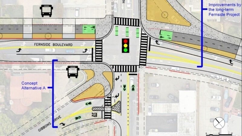
The Issue
We are deeply concerned about the City of Alameda’s proposal to close Gibbons Drive to eastbound traffic at High Street. This change would disrupt traffic flow, eliminate a vital safety-controlled exit, and reroute thousands of vehicles on narrower residential streets not designed to handle such volumes.
Narrow neighborhood streets like Cornell, Bayo Vista, Southwood, Fairview, Thompson, Northwood, Cambridge, Fremont, Harvard, and Yale would see sharp increases in traffic and are not equipped to handle traffic like this during the morning and evening commutes. The City's own traffic consultant estimates the Gibbons closure would result in a 400% increase in cars on the narrower neighboring streets. This creates a recipe for more accidents, near misses, and danger for pedestrians, cyclists, and children.
Gibbons Drive is the only traffic light–controlled exit from the Fernside neighborhood to the High Street Bridge. Removing it would force drivers to exit at uncontrolled intersections, delay emergency response times, and increase congestion and confusion throughout the neighborhood.
This proposal puts the safety of our entire community at risk to benefit a single block. We call on the City to reject this short-sighted plan and pursue safer, more balanced alternatives that protect all of Alameda’s residents.
Sign this petition to stand up for safer streets and smarter planning. Together, we can ensure our voices are heard.
For more information, visit: www.keepgibbonsopen.com

484
The Issue
We are deeply concerned about the City of Alameda’s proposal to close Gibbons Drive to eastbound traffic at High Street. This change would disrupt traffic flow, eliminate a vital safety-controlled exit, and reroute thousands of vehicles on narrower residential streets not designed to handle such volumes.
Narrow neighborhood streets like Cornell, Bayo Vista, Southwood, Fairview, Thompson, Northwood, Cambridge, Fremont, Harvard, and Yale would see sharp increases in traffic and are not equipped to handle traffic like this during the morning and evening commutes. The City's own traffic consultant estimates the Gibbons closure would result in a 400% increase in cars on the narrower neighboring streets. This creates a recipe for more accidents, near misses, and danger for pedestrians, cyclists, and children.
Gibbons Drive is the only traffic light–controlled exit from the Fernside neighborhood to the High Street Bridge. Removing it would force drivers to exit at uncontrolled intersections, delay emergency response times, and increase congestion and confusion throughout the neighborhood.
This proposal puts the safety of our entire community at risk to benefit a single block. We call on the City to reject this short-sighted plan and pursue safer, more balanced alternatives that protect all of Alameda’s residents.
Sign this petition to stand up for safer streets and smarter planning. Together, we can ensure our voices are heard.
For more information, visit: www.keepgibbonsopen.com

484
The Decision Makers

Supporter Voices
Petition Updates
Share this petition
Petition created on September 25, 2025