

TO ALL INTERESTED NEIGHBORS AND HISTORIC DISTRICT ADVOCATES:
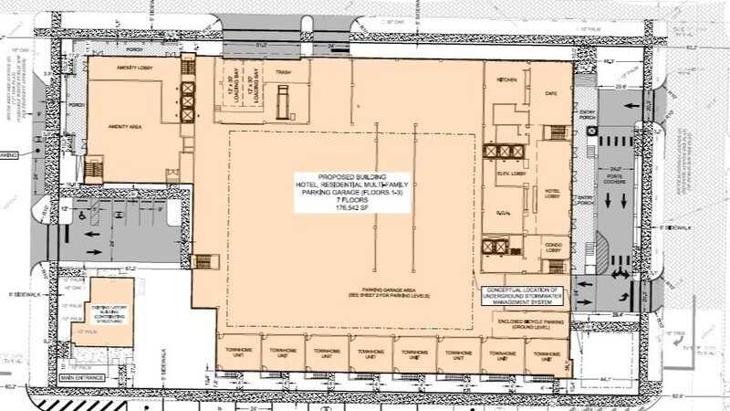
There's some confusion over the Nov. 13, 5:01 pm public hearing on this PROPOSED hotel complex: TA/CPA-24-11 (comp plan);
VAC-25-0000008 (vacating alley);
and REZ-25-48 (rezoning).
I've been advised by city employees to be prepared - Tampa City Council to do anything... hear the three requests, hear some of them, or continue all three without comment from the council or residents.
BOTTOM LINE: when hearing about the continuance several of our expert speakers made other plans.
THAT'S ON ME AND MY INEXPERIENCE DEALING WITH THE SYSTEM. I assumed the continuance would be GRANTED for several reasons. Developers are allowed up to 3 continuances for quasi-judicial public hearings - the REZONING REQUEST ONLY.
There have been several continuances with this proposal - but those were for the NON-quasi judicial items - the Comp Plan/Land Use and Vacating the Alley. But I was unaware at the time that city policies and procedures have no limits on the number of continuances allowed by non-quasi judicial requests.
MY NOVICE MISTAKE also mistakenly considered that just weeks ago council heard another controversial hotel development and 30+ residents who attended and were not allowed to speak. So I advised supporters it was up to them whether to show up because there was no guarantee their voice would be heard.
Our time is valuable as is council's and the developer's. It would be helpful to have a more transparent and equitable system. PLEASE CONTINUE TO SHARE THE PETITION LINK.