Ley u ordenanza contra los maltratadores de animales


Ley u ordenanza contra los maltratadores de animales
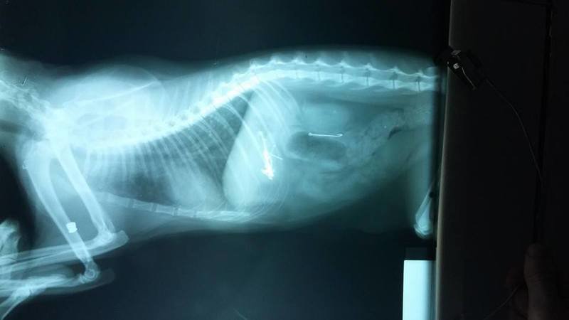
La causa
Hola soy de la Ciudad de Rosario. Les comento lo que me paso la semana pasada. Tengo dos gatos de los cuales uno sufrio el atropello y la violencia de un asesino, criminal y psicopata, que no se quien sera.
Se ve que a esta persona le molestan los animales, entonces procedió a tirarle o dejarle por ahi higado a los gatos, solo que entre y dentro de los bifes de higado les coloco de guarnicion alrededor de 15 a 20 anzuelos de todos los tamaños.
Gracias a Dios y al rapido accionar de nosotros lo pudimos sacar adelante.
Gracias a el SiVET que nos atendieron de mil maravillas y pudieron retirarle los anzuelitos, lamentablemente uno se les escapo y lo termino de expulsar unos dias mas tarde con la caca.
Quiero que se haga justicia.
Si bien no se quien fue, quiero que los pobres animales que no tienen voz, puedan tener una ley que los que los proteja y sobre todo que los cuide de gente así y los ampare. Espero que me puedan ayudar.
Gracias por leerme!!

María OjedaCreador de la petición
Esta petición consiguió 587 firmas
La causa
Hola soy de la Ciudad de Rosario. Les comento lo que me paso la semana pasada. Tengo dos gatos de los cuales uno sufrio el atropello y la violencia de un asesino, criminal y psicopata, que no se quien sera.
Se ve que a esta persona le molestan los animales, entonces procedió a tirarle o dejarle por ahi higado a los gatos, solo que entre y dentro de los bifes de higado les coloco de guarnicion alrededor de 15 a 20 anzuelos de todos los tamaños.
Gracias a Dios y al rapido accionar de nosotros lo pudimos sacar adelante.
Gracias a el SiVET que nos atendieron de mil maravillas y pudieron retirarle los anzuelitos, lamentablemente uno se les escapo y lo termino de expulsar unos dias mas tarde con la caca.
Quiero que se haga justicia.
Si bien no se quien fue, quiero que los pobres animales que no tienen voz, puedan tener una ley que los que los proteja y sobre todo que los cuide de gente así y los ampare. Espero que me puedan ayudar.
Gracias por leerme!!

María OjedaCreador de la petición
Petición cerrada
Compartí esta petición
Los tomadores de decisiones
Gutierrez Alicia
Gutierrez Alicia
Actualizaciones de la petición
Compartir esta petición
Petición creada en 16 de agosto de 2016