

We are now over 1200 supporters and signatures!
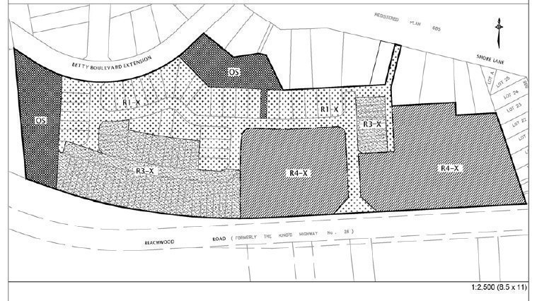
Not only the developer Beachwood Development Inc. is summitting a request to change the Official Plan and By-Law zoning for this plot from Low Density Residential One, to High Density Residential 3 and 4, but he is also requesting exceptions to go over the standard R1, R3 and R4 for higher density: he is requesting 6 storey Condominiums with 6 units (R4x), when standard is 4 storey with 4 units, denser blocks of townhouses (R3x) and smaller lots for single detached houses (R1x). This type of developers call it optimizing "efficiency", I call it "Greed Greed Greed".
How could a Mayor and Council approve such a wrong project by a greedy developer?
Please share this petition, thank you for your support.