

Please come to the Holmdel Town Hall on Wednesday November 1st to voice your opposition to this proposal for unrestricted commercial development of Red Hill Road in Holmdel that seeks to replace the rural environment of the bucolic Gateway to Holmdel with a strip mall style commercial office park.
The Holmdel Master Plan, adopted in 2020, reserved this part of our town for Residential and Agricultural usage, defined by zoning code R40A. The entire township benefits from this usage of the properties on Red Hill Road. Plenty of space is already reserved for commercial and medical office use in Holmdel.
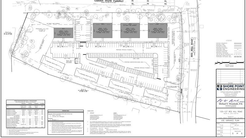
This proposal seeks to have 45% of the surface replaced with impervious materials, where 25% is the maximum permitted. It seeks four 45’ high buildings where 35’ is zoned. It ignores required setbacks and parking allocations, and will further increase traffic congestion by the GSP 114 Exit.