PETITION IN OPPOSITION TO APPROVAL OF VUE 222 Southwest of 222nd Street and West Center


PETITION IN OPPOSITION TO APPROVAL OF VUE 222 Southwest of 222nd Street and West Center
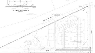
The Issue
The undersigned, who are property owners and residents residing within the single family residential subdivision of Trailridge Ranches, Terra Linda, The Sanctuary, The Farm, The Preserve, Bluesage located south of 222nd and West Center Road and the surrounding area oppose the approval of the VUE 222 plat and rezoning for the following reasons:
Low Density Residential:
The area is low density residential with single family homes and open green areas. The City of Omaha’s future land use plan designates the area, including the VUE 222 property as low density residential. The requested rezoning is contrary to the City’s future low density residential land use plan and the existing character of the area.
Dangerous Intersection:
The location of the VUE 222 at 222nd Street and West Center Road is at a non-conventional intersection at West Center Road and Old Center Road to the east, and 222nd and West Center Road to the southwest where speeds are high and site distance is low. There has been numerous high impact accidents at this location with loss of life and the addition of high density residential will increase the danger and accidents at this location. The street system abutting this location is not consistent with high density development and will increase an already dangerous intersection.
We respectfully request that the Omaha Planning Board deny the rezoning at platting request.
The Issue
The undersigned, who are property owners and residents residing within the single family residential subdivision of Trailridge Ranches, Terra Linda, The Sanctuary, The Farm, The Preserve, Bluesage located south of 222nd and West Center Road and the surrounding area oppose the approval of the VUE 222 plat and rezoning for the following reasons:
Low Density Residential:
The area is low density residential with single family homes and open green areas. The City of Omaha’s future land use plan designates the area, including the VUE 222 property as low density residential. The requested rezoning is contrary to the City’s future low density residential land use plan and the existing character of the area.
Dangerous Intersection:
The location of the VUE 222 at 222nd Street and West Center Road is at a non-conventional intersection at West Center Road and Old Center Road to the east, and 222nd and West Center Road to the southwest where speeds are high and site distance is low. There has been numerous high impact accidents at this location with loss of life and the addition of high density residential will increase the danger and accidents at this location. The street system abutting this location is not consistent with high density development and will increase an already dangerous intersection.
We respectfully request that the Omaha Planning Board deny the rezoning at platting request.
Victory
Share this petition
The Decision Makers
Supporter Voices
Petition Updates
Share this petition
Petition created on June 2, 2025