

SAY NO TO ARCADIA!


SAY NO TO ARCADIA!
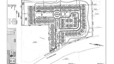
The Issue
Arcadia is STILL trying to get permission to build a new neighborhood (60+ homes) on the empty field behind Eagle Ridge, they also want to change the roadway on Buck Road. They are VERY close to getting all permissions to make this happen.
Those who have signed the following petition are greatly concerned regarding the proposed Arcadia division in Newtown. Their concerns regarding traffic flow and safety of their community have not been addressed or solved. The following, petitions outlines our significant concerns and unaddressed concerns.
1. The current traffic at the Buck road and Newtown Bypass intersection is already dangerous and concerning for those traveling this road. Those on buck road in the left two-lanes are regularly cut-off by those trying to “beat the light”, this is a common and daily occurrence- additional traffic flowing in from the right will cause drivers making the turn onto buck road to slow and could increase the risk of serious accidents.
1. The intersection of Buck road and the Newtown bypass experiences significant backups in the morning and evening hours- additional traffic will flow either further down buck roads or continue to back up traffic on the bypass.
2. The traffic exit and entrance pattern for the proposed Arcadia division will likely cause an increase in traffic on Mill pond. Mill pond is has significant foot and bicycles traffic on either side and those crossing millpond in the sidewalks are often challenged by speeding vehicles who do not under stand the 25mph speed limit or just don’t care. The exit pattern will lead to more traffic and may cause drivers to have to go out of their way to get back to the bypass, greatly increasing the potential for speeding through Newtown Crossing and eagle ridge.
3. The traffic pattern will greatly lead to U-turns on Millpond, Or the first streets in the neighborhood that are culdasacs- Cherry and Gettysburg lane- these are small streets lined with family’s, who already experience people turning around constantly on their streets.
Due to these reasons as well as many more we strongly urge the that the Arcadia planned Development in Newtown does not move forward.
The Issue
Arcadia is STILL trying to get permission to build a new neighborhood (60+ homes) on the empty field behind Eagle Ridge, they also want to change the roadway on Buck Road. They are VERY close to getting all permissions to make this happen.
Those who have signed the following petition are greatly concerned regarding the proposed Arcadia division in Newtown. Their concerns regarding traffic flow and safety of their community have not been addressed or solved. The following, petitions outlines our significant concerns and unaddressed concerns.
1. The current traffic at the Buck road and Newtown Bypass intersection is already dangerous and concerning for those traveling this road. Those on buck road in the left two-lanes are regularly cut-off by those trying to “beat the light”, this is a common and daily occurrence- additional traffic flowing in from the right will cause drivers making the turn onto buck road to slow and could increase the risk of serious accidents.
1. The intersection of Buck road and the Newtown bypass experiences significant backups in the morning and evening hours- additional traffic will flow either further down buck roads or continue to back up traffic on the bypass.
2. The traffic exit and entrance pattern for the proposed Arcadia division will likely cause an increase in traffic on Mill pond. Mill pond is has significant foot and bicycles traffic on either side and those crossing millpond in the sidewalks are often challenged by speeding vehicles who do not under stand the 25mph speed limit or just don’t care. The exit pattern will lead to more traffic and may cause drivers to have to go out of their way to get back to the bypass, greatly increasing the potential for speeding through Newtown Crossing and eagle ridge.
3. The traffic pattern will greatly lead to U-turns on Millpond, Or the first streets in the neighborhood that are culdasacs- Cherry and Gettysburg lane- these are small streets lined with family’s, who already experience people turning around constantly on their streets.
Due to these reasons as well as many more we strongly urge the that the Arcadia planned Development in Newtown does not move forward.
Petition Closed
Share this petition
The Decision Makers
Petition Updates
Share this petition
Petition created on December 20, 2020